Major Hurricane Maria: Heading Near Bahamas

Tropical Weather Discussions and Analysis
User avatar
srainhoutx
Site Admin
Site Admin
Posts: 19699
Joined: Tue Feb 02, 2010 2:32 pm
Location: Maggie Valley, NC
Contact:

Yesterday the NHC designated an area of disturbed weather in the Central Atlantic as INVEST 96L. Chances have increased overnight suggesting a Tropical Depression may form in the next couple of days. The wave axis is rather vigorous and the tropical disturbance appears to be rather large which tends to favor slower development and the disturbance is approaching the Windward and Leeward Islands at a low latitude. We will need to monitor this disturbance in the days ahead as it nears the Eastern Caribbean Sea. The current track guidance is somewhat suggestive of taking the disturbance across the Leeward Islands, but I strongly suggest until an actual low level circulation develops, all bets are off on the future track of what may be Maria. The Intensity guidance is leaning toward another Major Hurricane possibility. While it is way too soon to know exactly if and when this disturbance develops, the Global Deterministic and Ensemble Guidance suggest condition are favorable for slow development and intensification.

Image

Image
Attachments
09152017 1315Z avn-l.jpg
09152017 8 AM EDT TWO two_atl_5d1.png
Carla/Alicia/Jerry(In The Eye)/Michelle/Charley/Ivan/Dennis/Katrina/Rita/Wilma/Humberto/Ike/Harvey

Member: National Weather Association
Facebook.com/Weather Infinity
Twitter @WeatherInfinity
User avatar
wxman57
Global Moderator
Global Moderator
Posts: 2621
Joined: Thu Feb 04, 2010 5:34 am
Location: Southwest Houston (Westbury)
Contact:

This is the biggest threat out there in the tropics at present. Could move across the NE Caribbean as nearly a hurricane on Tuesday and in the eastern Bahamas as a hurricane next Friday. Not looking like a Gulf threat, but could be a major hurricane threat to the East U.S. Coast the following Mon/Tue.
cperk
Posts: 846
Joined: Sun Aug 19, 2012 12:09 pm
Location: Richmond
Contact:

I gonna keep an eye on this system just the same.The modeling was wrong on Harvey and Irma this far out,and we don't have to look far back to see how that turned out. At that latitude this system can end up in a lot of places.
User avatar
srainhoutx
Site Admin
Site Admin
Posts: 19699
Joined: Tue Feb 02, 2010 2:32 pm
Location: Maggie Valley, NC
Contact:


NHC Atlantic Ops‏Verified account @NHC_Atlantic
NHC will initiate advisories at 11 AM AST on Potential Tropical Cyclone Fifteen, currently located east of the Lesser Antilles.

Carla/Alicia/Jerry(In The Eye)/Michelle/Charley/Ivan/Dennis/Katrina/Rita/Wilma/Humberto/Ike/Harvey

Member: National Weather Association
Facebook.com/Weather Infinity
Twitter @WeatherInfinity
User avatar
srainhoutx
Site Admin
Site Admin
Posts: 19699
Joined: Tue Feb 02, 2010 2:32 pm
Location: Maggie Valley, NC
Contact:

Potential Tropical Cyclone Fifteen Discussion Number 1
NWS National Hurricane Center Miami FL AL152017
1100 AM AST Sat Sep 16 2017

Satellite images indicate that the area of low pressure located
several hundred miles east of the Lesser Antilles has become better
organized with curved banding features now better established.
Since there is still no indication of a well-defined center and
because tropical storm watches have been issued for portions of
the Leeward Islands, NHC has initiated advisories on this system as
a potential tropical cyclone. The initial wind speed is estimated
to be 30 kt based on a blend of the Dvorak classifications from TAFB
and SAB.

The initial motion estimate is 280/19, but this is uncertain due to
the lack of a clear center. A slower west-northwestward motion is
expected during the next several days as a mid-level ridge to the
north of the system weakens but remains nearly stationary. The NHC
track forecast takes the system across the Leeward Islands in a few
days and then near the Virgin Islands and Puerto Rico by the end of
the forecast period. It should be noted that confidence in the
track and forward speed of this system is low due to the spread in
the models and the current lack of a well-defined center.

The disturbance is expected to be in environmental conditions
conducive for strengthening during the next several days as the
shear is expected to be 10 kt or less while the cyclone moves over
warm 29 deg C SSTs. These conditions should allow for at least
steady strengthening, and the models unanimously show that trend.
The NHC intensity forecast is conservative for now, but does show
the system becoming a tropical storm later today and a hurricane by
the time it reaches the Leeward Islands.

KEY MESSAGES:

1. The disturbance is expected to intensify and will likely bring
tropical storm and hurricane conditions as well as flooding
rainfall to portions of the Lesser Antilles early next week. These
conditions could also spread into the Virgin Islands and Puerto Rico
by mid week. Interests in these areas should monitor the progress
of this system and follow any advice given by local officials.

FORECAST POSITIONS AND MAX WINDS

INIT 16/1500Z 12.2N 50.5W 30 KT 35 MPH...POTENTIAL TROP CYCLONE
12H 17/0000Z 12.8N 52.8W 35 KT 40 MPH...TROPICAL STORM
24H 17/1200Z 13.6N 55.1W 40 KT 45 MPH
36H 18/0000Z 14.3N 56.9W 50 KT 60 MPH
48H 18/1200Z 15.0N 58.6W 60 KT 70 MPH
72H 19/1200Z 16.3N 61.3W 75 KT 85 MPH
96H 20/1200Z 17.6N 64.0W 80 KT 90 MPH
120H 21/1200Z 18.7N 67.3W 80 KT 90 MPH

$$
Forecaster Cangialosi

Attachments
9162017 TD 15 11 AM AST 145528_5day_cone_no_line_and_wind.png
Carla/Alicia/Jerry(In The Eye)/Michelle/Charley/Ivan/Dennis/Katrina/Rita/Wilma/Humberto/Ike/Harvey

Member: National Weather Association
Facebook.com/Weather Infinity
Twitter @WeatherInfinity
User avatar
Ptarmigan
Statistical Specialist
Statistical Specialist
Posts: 4431
Joined: Wed Feb 03, 2010 7:20 pm
Contact:

It will be Maria soon.
User avatar
srainhoutx
Site Admin
Site Admin
Posts: 19699
Joined: Tue Feb 02, 2010 2:32 pm
Location: Maggie Valley, NC
Contact:

BULLETIN
Tropical Depression Fifteen Intermediate Advisory Number 1A
NWS National Hurricane Center Miami FL AL152017
200 PM AST Sat Sep 16 2017

...DISTURBANCE BECOMES A TROPICAL DEPRESSION...


SUMMARY OF 200 PM AST...1800 UTC...INFORMATION
----------------------------------------------
LOCATION...11.9N 51.6W
ABOUT 695 MI...1120 KM ESE OF THE LESSER ANTILLES
MAXIMUM SUSTAINED WINDS...35 MPH...55 KM/H
PRESENT MOVEMENT...W OR 280 DEGREES AT 20 MPH...30 KM/H
MINIMUM CENTRAL PRESSURE...1006 MB...29.71 INCHES


WATCHES AND WARNINGS
--------------------
CHANGES WITH THIS ADVISORY:

The government of Barbados has issued a Tropical Storm Watch for
Barbados and St. Vincent and the Grenadines.

SUMMARY OF WATCHES AND WARNINGS IN EFFECT:

A Tropical Storm Watch is in effect for...
* St. Lucia
* Martinique
* Guadeloupe
* Dominica
* Barbados
* St. Vincent and the Grenadines

A Tropical Storm Watch means that tropical storm conditions are
possible within the watch area, generally within 48 hours.

Interests elsewhere in the Lesser Antilles should monitor the
progress of this system. Additional Tropical Storm or Hurricane
Watches will likely be issued later today.

For storm information specific to your area, please monitor
products issued by your national meteorological service.


DISCUSSION AND 48-HOUR OUTLOOK
------------------------------
Satellite images indicate that the disturbance has become better
organized and is now classified as a tropical depression.

At 200 PM AST (1800 UTC), the center of Tropical Depression Fifteen
was centered near latitude 11.9 North, longitude 51.6 West. The
depression is moving toward the west near 20 mph (30 km/h). A
slower west-northwest motion is expected during the next couple of
days. On the forecast track, the system is expected to approach the
Leeward Islands on Monday.

Maximum sustained winds are near 35 mph (55 km/h) with higher gusts.
Strengthening is expected during the next 48 hours. The depression
is forecast to become a tropical storm later today and could be near
hurricane strength when it approaches the Leeward Islands.

The estimated minimum central pressure is 1006 mb (29.71 inches).


HAZARDS AFFECTING LAND
----------------------
WIND: Hurricane conditions are possible within portions of Leeward
Islands by Monday night or Tuesday, with tropical storm conditions
possible on Monday.

RAINFALL: The depression is expected to produce total rain
accumulations of 5 to 10 inches with isolated maximum amounts of 15
inches across portions of the central and southern Leeward Islands
through Tuesday night. These rains could cause life-threatening
flash floods and mudslides.

SURF: Swells generated by the depression are expected to begin
affecting the Lesser Antilles by Sunday night. These swells are
likely to cause life-threatening surf and rip current conditions.
Please consult products from your local weather office.


NEXT ADVISORY
-------------
Next complete advisory at 500 PM AST.

$$
Forecaster Cangialosi
Carla/Alicia/Jerry(In The Eye)/Michelle/Charley/Ivan/Dennis/Katrina/Rita/Wilma/Humberto/Ike/Harvey

Member: National Weather Association
Facebook.com/Weather Infinity
Twitter @WeatherInfinity
User avatar
srainhoutx
Site Admin
Site Admin
Posts: 19699
Joined: Tue Feb 02, 2010 2:32 pm
Location: Maggie Valley, NC
Contact:

Tropical Storm Maria Discussion Number 2
NWS National Hurricane Center Miami FL AL152017
500 PM AST Sat Sep 16 2017

Satellite images indicate that the system located several hundred
miles east of the Lesser Antilles has become much better organized
throughout the day. The low-level center of circulation is now
well defined, and banding features have become better established in
all quadrants. The initial wind speed is increased to 45 kt, in
agreement with a Dvorak classification from TAFB. This makes the
system a tropical storm, Maria becomes the thirteenth named storm
in the Atlantic basin this season.

Maria is moving quickly westward at 17 kt on the south side of a
mid-level ridge. This ridge is expected to remain in place but
weaken some, which should cause Maria to move west-northwestward at
a progressively slower pace through the forecast period. The
models are in fair agreement, and the NHC official track forecast
is closest to the HCCA model. This forecast takes the core of
Maria near the Leeward Islands in 48 to 72 hours, and close to the
Virgin Islands and Puerto Rico in about 4 days.

The tropical storm is located within conducive environmental
conditions of low wind shear, high amounts of moisture, and over
warm 29 deg C SSTs. Since these conditions are not expected to
change much, steady or even rapid strengthening is likely during the
next 3 to 4 days. Slight weakening is predicted by the end of the
forecast period due to some land interaction and a slight increase
in wind shear. The NHC intensity forecast is raised significantly
from the previous one to come into better agreement with the latest
guidance.

KEY MESSAGES:

1. Maria is expected to strengthen and affect portions of the
Leeward Islands as a hurricane early next week, bringing dangerous
wind, storm surge and rainfall hazards. Hurricane and tropical
storm watches have been issued for portions of the Lesser Antilles,
and additional watches will likely be issued tonight and Sunday.

2. Maria could also affect the British and U.S. Virgin Islands and
Puerto Rico by mid week as a dangerous major hurricane, and
hurricane watches could be issued for these islands as early as
Sunday. Interests in these areas should monitor the progress of
Maria and follow any advice given by local officials.

FORECAST POSITIONS AND MAX WINDS

INIT 16/2100Z 12.3N 52.6W 45 KT 50 MPH
12H 17/0600Z 13.0N 54.5W 55 KT 65 MPH
24H 17/1800Z 13.9N 56.6W 65 KT 75 MPH
36H 18/0600Z 14.6N 58.3W 70 KT 80 MPH
48H 18/1800Z 15.2N 59.8W 80 KT 90 MPH
72H 19/1800Z 16.5N 62.7W 95 KT 110 MPH
96H 20/1800Z 17.9N 65.5W 105 KT 120 MPH
120H 21/1800Z 19.5N 68.6W 95 KT 110 MPH

$$
Forecaster Cangialosi
Attachments
09162017 5 PM AST Maria 204552_5day_cone_no_line_and_wind.png
Carla/Alicia/Jerry(In The Eye)/Michelle/Charley/Ivan/Dennis/Katrina/Rita/Wilma/Humberto/Ike/Harvey

Member: National Weather Association
Facebook.com/Weather Infinity
Twitter @WeatherInfinity
User avatar
srainhoutx
Site Admin
Site Admin
Posts: 19699
Joined: Tue Feb 02, 2010 2:32 pm
Location: Maggie Valley, NC
Contact:

BULLETIN
Hurricane Maria Intermediate Advisory Number 8A
NWS National Hurricane Center Miami FL AL152017
800 AM AST Mon Sep 18 2017

...HURRICANE HUNTER AIRCRAFT REPORTS MARIA INTENSIFYING...
...EXPECTED TO BECOME A MAJOR HURRICANE LATER TODAY...


SUMMARY OF 800 AM AST...1200 UTC...INFORMATION
----------------------------------------------
LOCATION...14.6N 59.7W
ABOUT 85 MI...135 KM E OF MARTINIQUE
ABOUT 120 MI...195 KM ESE OF DOMINICA
MAXIMUM SUSTAINED WINDS...110 MPH...175 KM/H
PRESENT MOVEMENT...WNW OR 290 DEGREES AT 12 MPH...19 KM/H
MINIMUM CENTRAL PRESSURE...967 MB...28.56 INCHES


WATCHES AND WARNINGS
--------------------
CHANGES WITH THIS ADVISORY:

The Government of St. Lucia has issued a Hurricane Warning for St.
Lucia.

The Meteorological Service of St. Maarten has issued a Tropical
Storm Warning for St. Maarten.

SUMMARY OF WATCHES AND WARNINGS IN EFFECT:

A Hurricane Warning is in effect for...
* Guadeloupe
* Dominica
* St. Kitts, Nevis, and Montserrat
* Martinique
* St. Lucia

A Tropical Storm Warning is in effect for...
* Antigua and Barbuda
* Saba and St. Eustatius
* St. Maarten

A Hurricane Watch is in effect for...
* Puerto Rico, Vieques, and Culebra
* U.S. Virgin Islands
* British Virgin Islands
* Saba and St. Eustatius
* St. Maarten
* St. Martin and St. Barthelemy
* Anguilla

A Tropical Storm Watch is in effect for...
* Barbados
* St. Vincent and the Grenadines

A Hurricane Warning means that hurricane conditions are expected
somewhere within the warning area. Preparations to protect life and
property should be rushed to completion.

A Tropical Storm Warning means that tropical storm conditions are
expected somewhere within the warning area.

A Hurricane Watch means that hurricane conditions are possible
within the watch area. A watch is typically issued 48 hours
before the anticipated first occurrence of tropical-storm-force
winds, conditions that make outside preparations difficult or
dangerous.

A Tropical Storm Watch means that tropical storm conditions are
possible within the watch area, generally within 48 hours.

Interests elsewhere in the Lesser Antilles and the Dominican
Republic should monitor the progress of this system.

For storm information specific to your area in the United
States, including possible inland watches and warnings, please
monitor products issued by your local National Weather Service
forecast office. For storm information specific to your area outside
the United States, please monitor products issued by your national
meteorological service.


DISCUSSION AND 48-HOUR OUTLOOK
------------------------------
At 800 AM AST (1200 UTC), the center of Hurricane Maria was located
near latitude 14.6 North, longitude 59.7 West. Maria is moving
toward the west-northwest near 12 mph (19 km/h), and this motion
with a decrease in forward speed is expected through Tuesday night.
On the forecast track, the center of Maria will move across the
Leeward Islands late today and tonight, and then over the extreme
northeastern Caribbean Sea Tuesday and Tuesday night.

Reports from an Air Force Reserve Hurricane Hunter aircraft
indicate that maximum sustained winds have increased to near 110 mph
(175 km/h) with higher gusts. Maria is currently a Category 2
hurricane on the Saffir-Simpson Hurricane Wind Scale. Additional
rapid strengthening is forecast during the next 48 hours, and Maria
is expected to become a dangerous major hurricane before it moves
through the Leeward Islands.

Hurricane-force winds extend outward up to 15 miles (30 km) from
the center and tropical-storm-force winds extend outward up to 105
miles (165 km).

The minimum central pressure estimated from the Hurricane Hunter
aircraft data is 967 mb (28.56 inches).


HAZARDS AFFECTING LAND
----------------------
WIND: Hurricane conditions are first expected within portions of
the Leeward Islands by late today, with tropical storm conditions
beginning during the next several hours. Hurricane conditions are
possible within the hurricane watch area by Tuesday, with tropical
storm conditions possible tonight. Tropical storm conditions are
possible in the tropical storm watch area through tonight.

STORM SURGE: A dangerous storm surge accompanied by large and
destructive waves will raise water levels by as much as 5 to 7 feet
above normal tide levels near where the center of Maria moves
across the Leeward Islands.

RAINFALL: Maria is expected to produce total rain accumulations of
6 to 12 inches with isolated maximum amounts of 20 inches across the
central and southern Leeward Islands, including Puerto Rico and the
U.S. and British Virgin Islands, through Wednesday night. Maria is
also expected to produce total rain accumulations of 2 to 4 inches
with isolated maximum amounts of 8 inches over the remaining
northern Leeward Islands from Barbuda to Anguilla, as well as the
Windward Islands and Barbados. Rainfall on all of these islands
could cause life-threatening flash floods and mudslides.

SURF: Swells generated by Maria are affecting the Lesser Antilles.
These swells are likely to cause life-threatening surf and rip
current conditions. Please consult products from your local
weather office.


NEXT ADVISORY
-------------
Next complete advisory at 1100 AM AST.

$$
Forecaster Beven
Attachments
09182017 8 AM AST Maria 114940_5day_cone_no_line_and_wind.png
Carla/Alicia/Jerry(In The Eye)/Michelle/Charley/Ivan/Dennis/Katrina/Rita/Wilma/Humberto/Ike/Harvey

Member: National Weather Association
Facebook.com/Weather Infinity
Twitter @WeatherInfinity
User avatar
srainhoutx
Site Admin
Site Admin
Posts: 19699
Joined: Tue Feb 02, 2010 2:32 pm
Location: Maggie Valley, NC
Contact:

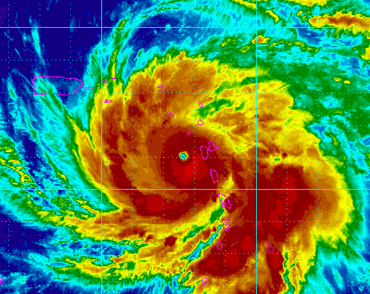
Hurricane Maria Discussion Number 9
NWS National Hurricane Center Miami FL AL152017
1100 AM AST Mon Sep 18 2017

Reports from an Air Force Reserve Hurricane Hunter aircraft indicate
that Maria is undergoing rapid intensification. The aircraft
reported 700-mb flight-level winds of 115 kt in the northeastern
eyewall, along with reliable-looking surface wind estimates from the
Stepped Frequency Microwave radiometer as high as 104 kt. In
addition, the estimated central pressure inside the 10 n mi wide eye
has fallen to 959 mb. The initial intensity is increased to 100 kt,
making Maria a major category 3 hurricane on the Saffir-Simpson
Hurricane Wind Scale. The small eye is also apparent in radar data
from Martinique.

The initial motion is 285/9, a little to the left of the previous
motion. Other than that, there is little change in either the
forecast philosophy or the forecast track. A high pressure area to
the north of Maria should maintain a general west-northwestward
motion for the next three days or so. After that, the high weakens,
which should allow the hurricane to turn gradually northwestward and
north-northwestward. The new forecast track is changed little from
the previous one, and it calls for Maria to move through the Leeward
Islands in 12-24 h, approach the Virgin Islands in about 36 h, then
cross Puerto Rico between 48-72 h. The new track lies to the left
of the center of the guidance envelope in best agreement with the
ECMWF.

Atmospheric and oceanic conditions appear favorable for additional
rapid strengthening for the next 24 h and possibly longer.
This is reflected in the intensity forecast, which now calls for
Maria to become a category 4 hurricane in 12 h and reach a possibly
conservative peak intensity of 130 kt in about 36 h. From 72-120 h,
land interaction and less favorable upper-level winds are expected
to cause some weakening. On top of these general trends, there is
also the possibility that eyewall replacement cycles could occur
that would affect the intensity. However, Maria is likely to
maintain category 3 to 4 intensity through the forecast period.

KEY MESSAGES:

1. Maria will affect portions of the Leeward Islands and the British
and U.S. Virgin Islands as an extremely dangerous major hurricane
during the next couple of days, and hurricane warnings are in effect
for many of these islands.

2. Maria is likely to affect Puerto Rico as an extremely dangerous
major hurricane, and a hurricane watch is in effect for that island.
A hurricane warning will likely be issued later today.

3. The potential for a life-threatening storm surge, accompanied by
large and destructive waves, has increased for the Leeward Islands,
the Virgin Islands, and Puerto Rico.

4. Life-threatening flash floods and mudslides from heavy rainfall
are expected across the Leeward Islands, including Puerto Rico and
the U.S. and British Virgin Islands.


FORECAST POSITIONS AND MAX WINDS

INIT 18/1500Z 14.7N 60.1W 105 KT 120 MPH
12H 19/0000Z 15.1N 61.2W 115 KT 130 MPH
24H 19/1200Z 15.9N 62.6W 125 KT 145 MPH
36H 20/0000Z 16.8N 64.1W 130 KT 150 MPH
48H 20/1200Z 17.6N 65.5W 130 KT 150 MPH
72H 21/1200Z 19.5N 68.5W 125 KT 145 MPH
96H 22/1200Z 21.5N 71.0W 120 KT 140 MPH
120H 23/1200Z 24.0N 72.5W 110 KT 125 MPH

$$
Forecaster Beven
Attachments
09182017 11 AM AST Maria 150535_5day_cone_no_line_and_wind.png
Carla/Alicia/Jerry(In The Eye)/Michelle/Charley/Ivan/Dennis/Katrina/Rita/Wilma/Humberto/Ike/Harvey

Member: National Weather Association
Facebook.com/Weather Infinity
Twitter @WeatherInfinity
User avatar
srainhoutx
Site Admin
Site Admin
Posts: 19699
Joined: Tue Feb 02, 2010 2:32 pm
Location: Maggie Valley, NC
Contact:

Monday morning briefing from Jeff regarding Maria:

Major hurricane event likely for the Leeward Island, US/British Virgin Islands, and Puerto Rico

Discussion:
USAF mission in Maria this morning indicates the hurricane is undergoing rapid intensification with flight levels winds of 115kts and estimated surface winds of 104kts and a surface pressure down to 959mb. This data confirmed that Maria has become a major hurricane and was upgraded to a category 3 at 1000am. The aircraft has also found a small 10 mile wide eye which is also confirmed by radar images from the island of Martinique.

Track:
Maria has track slightly left (west) over the last few hours…likely a result of the rapidly organizing inner core convection. High pressure centered over the central Atlantic will keep Maria on a general WNW motion for the next 4-5 days bringing a devastating hurricane across the Leeward Islands tonight and toward Puerto Rico and the US/British Virgin Islands in the next 36 hours. As the hurricane moves NW of Puerto Rico, its interaction with the remains of Jose over the NW Atlantic become increasingly important as this will likely determine if Maria moves more toward the right and remains offshore of the US coast or tracks more west and threats the SE/E US. The ensemble guidance spread is very large and the uncertainty is higher than usual for the track forecast beyond day 5 as the hurricane nears the Bahamas

Intensity:
Maria is undergoing rapid intensification and there appears to be little in the way to prevent continued intensification. NHC brings Maria to a very strong category 4 hurricane as it moves across the Leeward Islands and it is certainly possible Maria could become a category 5 hurricane as it approaches Puerto Rico given the excellent conditions along the path of the hurricane.

Maria will bring incredible damage to portions of the Leeward Island tonight and catastrophic damage to Puerto Rico and the US/British Virgin Islands in the next 36 hours. A much larger population will be heavily impacted by Maria compared to Irma a few weeks ago as Maria will track across more of the Islands and the heavy population centers on Puerto Rico which largely escaped Irma.
Attachments
09182017 11 AM AST Maria 150535_5day_cone_no_line_and_wind.png
Carla/Alicia/Jerry(In The Eye)/Michelle/Charley/Ivan/Dennis/Katrina/Rita/Wilma/Humberto/Ike/Harvey

Member: National Weather Association
Facebook.com/Weather Infinity
Twitter @WeatherInfinity
User avatar
srainhoutx
Site Admin
Site Admin
Posts: 19699
Joined: Tue Feb 02, 2010 2:32 pm
Location: Maggie Valley, NC
Contact:

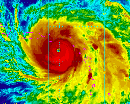
Hurricane Maria Discussion Number 10
NWS National Hurricane Center Miami FL AL152017
500 PM AST Mon Sep 18 2017

Maria is developing the dreaded pinhole eye. The last reports from
an Air Force Reserve Hurricane Hunter aircraft and radar data from
Martinique indicated an eye with a diameter of about 8-10 n mi, and
this featured has recently become better defined in visible and
infrared satellite imagery. The aircraft data supported an
intensity of 105-110 kt back at 18Z, and all indications are that
rapid intensification is continuing. Thus, the initial intensity
is increased to 115 kt. Another Hurricane Hunter aircraft is
schedule to arrive in Maria about 2330Z, and it is distinctly
possible that it will find a higher intensity than 115 kt.

After an excursion to the left overnight, Maria has resumed a
motion of 290-295 degrees at about 8 kt, and the short-term motion
may be even farther to the right. A weak subtropical ridge to the
north of the hurricane should steer it generally west-northwestward
for the next three days, with the center crossing the Leeward
Islands near Dominica during the next few hours. This is expected
to be followed by a track across the northeastern Caribbean to near
the Virgin Islands, then followed by a passage over or near Puerto
Rico around the 48 h point. Once north of Puerto Rico, the
hurricane should gradually turn toward the northwest and
north-northwest as it approaches a weakness in the ridge. The track
guidance is tightly clustered through 120 h, and the new forecast
track is an update of the previous forecast that lies a little to
the south of the various consensus models.

Atmospheric and oceanic conditions appear favorable for additional
rapid strengthening for the next 24 h and possibly longer. The
intensity forecast, which is at or above the upper edge of the
guidance, now calls for Maria to reach a peak intensity of 135 kt
in about 24 h, and it is possible that the hurricane could reach
category 5 status. Later in the forecast period, land interaction
and less favorable upper-level winds are expected to cause some
weakening. On top of these general trends, there is also the
possibility that eyewall replacement cycles could occur that would
affect the intensity. However, Maria is likely to remain an
extremely dangerous major hurricane through the forecast period.

It should be noted that the despite the great intensity of Maria,
the hurricane force winds are currently confined to a small area
near the eye. The radii forecast assumes that the 64-kt radii will
not expand significantly during the next 36 h. However, if an
eyewall replacement cycle occurs, the hurricane-force winds could
expand to an area larger than forecast.

If radar data from the eastern Caribbean is regularly available,
Tropical Cyclone Updates may be issued this evening.

KEY MESSAGES:

1. Maria will affect portions of the Leeward Islands and the British
and U.S. Virgin Islands as an extremely dangerous major hurricane
during the next couple of days, and hurricane warnings are in effect
for many of these islands.

2. Maria is likely to affect Puerto Rico as an extremely dangerous
major hurricane, and a hurricane warning has been issued for that
island.

3. The potential for a life-threatening storm surge, accompanied by
large and destructive waves, has increased for the Leeward Islands,
the Virgin Islands, and Puerto Rico.

4. Life-threatening flash floods and mudslides from heavy rainfall
are expected across the Leeward Islands, including Puerto Rico and
the U.S. and British Virgin Islands.


FORECAST POSITIONS AND MAX WINDS

INIT 18/2100Z 15.1N 60.7W 115 KT 130 MPH
12H 19/0600Z 15.7N 61.9W 125 KT 145 MPH
24H 19/1800Z 16.5N 63.3W 135 KT 155 MPH
36H 20/0600Z 17.3N 64.7W 135 KT 155 MPH
48H 20/1800Z 18.2N 66.2W 130 KT 150 MPH...OVER PUERTO RICO
72H 21/1800Z 20.0N 69.0W 125 KT 145 MPH...OVER WATER
96H 22/1800Z 22.0N 71.5W 120 KT 140 MPH
120H 23/1800Z 25.0N 73.0W 105 KT 120 MPH

$$
Forecaster Beven

Attachments
09183017 5 PM AST Maria 205325_5day_cone_no_line_and_wind.png
Carla/Alicia/Jerry(In The Eye)/Michelle/Charley/Ivan/Dennis/Katrina/Rita/Wilma/Humberto/Ike/Harvey

Member: National Weather Association
Facebook.com/Weather Infinity
Twitter @WeatherInfinity
User avatar
Katdaddy
Global Moderator
Global Moderator
Posts: 2521
Joined: Thu Feb 04, 2010 8:18 am
Location: League City, Tx
Contact:

Hurricane Maria is now a CAT 5 at 160MPH.

ZCZC MIATCUAT5 ALL
TTAA00 KNHC DDHHMM

Hurricane Maria Tropical Cyclone Update
NWS National Hurricane Center Miami FL AL152017
745 PM AST Mon Sep 18 2017

...HURRICANE HUNTER AIRCRAFT FIND MARIA AS CATEGORY 5 HURRICANE ON
THE SAFFIR-SIMPSON HURRICANE WIND SCALE...

Air Force Reserve hurricane hunter aircraft data indicate Hurricane
Maria has intensified into an extremely dangerous Category 5
hurricane on the Saffir-Simpson Hurricane Wind Scale with maximum
winds of 160 mph (260 km/h) with higher gusts. A special advisory
will be issued at 800 PM AST (0000 UTC) in lieu of the scheduled
intermediate advisory for Maria.


SUMMARY OF 745 PM AST...2345 UTC...INFORMATION
---------------------------------------------------
LOCATION...15.3N 61.1W
ABOUT 15 MI...25 KM ESE OF DOMINICA
ABOUT 40 MI...70 KM N OF MARTINIQUE
MAXIMUM SUSTAINED WINDS...160 MPH...260 KM/H
PRESENT MOVEMENT...WNW OR 290 DEGREES AT 9 MPH...15 KM/H
MINIMUM CENTRAL PRESSURE...929 MB...27.43 INCHES

$$
Forecaster Brown/Blake

NNNN
TexasBreeze
Posts: 1016
Joined: Sun Sep 26, 2010 4:46 pm
Location: NW Houston, TX
Contact:

The Atlantic is spitting out 5's like the west Pac this season! It looks like a direct hit on Dominica and then Puerto Rico.
User avatar
srainhoutx
Site Admin
Site Admin
Posts: 19699
Joined: Tue Feb 02, 2010 2:32 pm
Location: Maggie Valley, NC
Contact:

Monday evening briefing from Jeff for CAT 5 Maria:

Reports from USFA mission indicate Maria has rapidly intensified into a category 5 hurricane with sustained surface winds of 160mph.

Eye of Maria is only 15 miles ESE of the island of Dominica and the catastrophic landfall of this hurricane is likely within the next 1-2 hours across the island. Few if any structures will survive the sustained 160mph winds. In fact the winds are so intense that a USAF mission dropsonde released into the southern eyewall rotated all the way to the northern eyewall before hitting the ocean surface. Equipment on the aircraft have been recording surface winds in the intense eyewall of 168kts (193mph), but some of this is likely strong gusts in the intense eyewall convection.

Maria has an extremely small inner core similar to Wilma (2005) which has allowed the incredible rate of intensification from a TS to category 5 hurricane in 50 hours.

There appears to be little to disrupt the inner core and Maria will strike the island of Dominica and then move in the direction of Puerto Rico…likely as a category 5 hurricane. This will be potentially the strongest hurricane event for Puerto Rico since 1928.

Attachments
image001.png
image002.gif
Carla/Alicia/Jerry(In The Eye)/Michelle/Charley/Ivan/Dennis/Katrina/Rita/Wilma/Humberto/Ike/Harvey

Member: National Weather Association
Facebook.com/Weather Infinity
Twitter @WeatherInfinity
User avatar
Ptarmigan
Statistical Specialist
Statistical Specialist
Posts: 4431
Joined: Wed Feb 03, 2010 7:20 pm
Contact:

Hurricane Maria made landfall on Dominica as a Category 5 hurricane. :shock: :o

Code: Select all

000
WTNT35 KNHC 190254
TCPAT5

BULLETIN
Hurricane Maria Advisory Number  12
NWS National Hurricane Center Miami FL       AL152017
1100 PM AST Mon Sep 18 2017

...EYE OF CATEGORY 5 HURRICANE MARIA MOVING OVER DOMINICA...


SUMMARY OF 1100 PM AST...0300 UTC...INFORMATION
-----------------------------------------------
LOCATION...15.5N 61.4W
ABOUT 0 MI...0 KM NW OF DOMINICA
ABOUT 270 MI...435 KM SE OF ST. CROIX
MAXIMUM SUSTAINED WINDS...160 MPH...260 KM/H
PRESENT MOVEMENT...WNW OR 300 DEGREES AT 9 MPH...15 KM/H
MINIMUM CENTRAL PRESSURE...924 MB...27.29 INCHES


WATCHES AND WARNINGS
--------------------
CHANGES WITH THIS ADVISORY:

None

SUMMARY OF WATCHES AND WARNINGS IN EFFECT:

A Hurricane Warning is in effect for...
* Guadeloupe
* Dominica
* St. Kitts, Nevis, and Montserrat
* U.S. Virgin Islands
* British Virgin Islands
* Puerto Rico, Culebra, and Vieques

A Tropical Storm Warning is in effect for...
* Antigua and Barbuda
* Saba and St. Eustatius
* St. Maarten
* Anguilla
* St. Lucia
* Martinique

A Hurricane Watch is in effect for...
* Saba and St. Eustatius
* St. Maarten
* St. Martin and St. Barthelemy
* Anguilla
* Isla Saona to Puerto Plata

A Tropical Storm Watch is in effect for...
* St. Vincent and the Grenadines
* West of Puerto Plata to the northern Dominican Republic-Haiti
border

A Hurricane Warning means that hurricane conditions are expected
somewhere within the warning area.  Preparations to protect life and
property should be rushed to completion.

A Tropical Storm Warning means that tropical storm conditions are
expected somewhere within the warning area.

A Hurricane Watch means that hurricane conditions are possible
within the watch area.  A watch is typically issued 48 hours
before the anticipated first occurrence of tropical-storm-force
winds, conditions that make outside preparations difficult or
dangerous.

A Tropical Storm Watch means that tropical storm conditions are
possible within the watch area, generally within 48 hours.

Interests elsewhere in Hispaniola, the southeastern Bahamas, and
the Turks and Caicos Islands should monitor the progress of Maria.
Additional watches and warnings may be required on Tuesday.

For storm information specific to your area in the United
States, including possible inland watches and warnings, please
monitor products issued by your local National Weather Service
forecast office.  For storm information specific to your area
outside the United States, please monitor products issued by your
national meteorological service.


DISCUSSION AND 48-HOUR OUTLOOK
------------------------------
At 1100 PM AST (0300 UTC), the center of Hurricane Maria was located
near latitude 15.5 North, longitude 61.4 West. Maria is moving
toward the west-northwest near 9 mph (15 km/h), and this general
motion is expected to continue through Wednesday.  On the forecast
track, the eye of Maria will move over the northeastern Caribbean
Sea on Tuesday and approach the Virgin Islands and Puerto Rico
Tuesday night and Wednesday.

Reports from an Air Force Reserve Hurricane Hunter aircraft
indicate that the maximum sustained winds are near 160 mph (260
km/h) with higher gusts.  Maria is a category 5 hurricane on the
Saffir-Simpson Hurricane Wind Scale  Some fluctuations in intensity
are likely during the next day or two, but Maria is forecast to
remain an extremely dangerous hurricane while it approaches the
Virgin Islands and Puerto Rico.

Hurricane-force winds extend outward up to 30 miles (45 km) from the
center and tropical-storm-force winds extend outward up to 125 miles
(205 km).  Ham radio reports indicate significant damage to
structures has occurred in Dominica.

The minimum central pressure estimated from reconnaissance data is
924 mb (27.29 inches).


HAZARDS AFFECTING LAND
----------------------
WIND:  Hurricane conditions should continue over Dominica during
the next few hours.  Hurricane conditions should spread throughout
portions of the hurricane warning area in the Leeward Islands
tonight and early Tuesday.  Hurricane conditions should spread
through the remainder of the Hurricane Warning area Tuesday
and Wednesday.  Hurricane conditions are possible within the
Hurricane Watch area in the Dominican Republic late Wednesday, with
tropical storm conditions possible by early Wednesday.  Tropical
storm conditions are possible in the tropical storm watch area in
St. Vincent and the Grenadines through tonight, and are possible in
the tropical storm watch area in the Dominican Republic on
Wednesday.

Wind speeds atop and on the windward sides of hills and mountains
could be much stronger than the near-surface winds indicated in this
advisory.

STORM SURGE:  A dangerous storm surge accompanied by large and
destructive waves will raise water levels by as much as 7 to 11
feet above normal tide levels in the hurricane warning area near
where the center of Maria moves across the Leeward Islands and the
British Virgin Islands.

The combination of a dangerous storm surge and the tide will cause
normally dry areas near the coast to be flooded by rising waters
moving inland from the shoreline.  The water is expected to reach
the following heights above ground if the peak surge occurs at the
time of high tide...

Puerto Rico and the U.S. Virgin Islands...6 to 9 ft

The deepest water will occur along the immediate coast near and to
the north and east of the landfall location, where the surge will be
accompanied by large and destructive waves.  Surge-related
flooding depends on the relative timing of the surge and the tidal
cycle, and can vary greatly over short distances.  For information
specific to your area, please see products issued by your local
National Weather Service forecast office.

RAINFALL: Maria is expected to produce the following rain
accumulations through Thursday:

Central and southern Leeward Islands...10 to 15 inches, isolated 20
inches.
U.S. and British Virgin Islands...10 to 15 inches, isolated 20
inches.
Puerto Rico...12 to 18 inches, isolated 25 inches.
Northern Leeward Islands from Barbuda to Anguilla...4 to 8 inches,
isolated 10 inches.
Windward Islands and Barbados...2 to 4 inches, isolated 6 inches.
Eastern Dominican Republic...4 to 8 inches, isolated 12 inches.

Rainfall on all of these islands could cause life-threatening flash
floods and mudslides.

SURF:  Swells generated by Maria are affecting the Lesser Antilles.
These swells are likely to cause life-threatening surf and rip
current conditions.  Please consult products from your local
weather office.


NEXT ADVISORY
-------------
Next intermediate advisory at 200 AM AST.
Next complete advisory at 500 AM AST.

$$
Forecaster Brown
http://www.nhc.noaa.gov/text/refresh/MI ... 0254.shtml
User avatar
Katdaddy
Global Moderator
Global Moderator
Posts: 2521
Joined: Thu Feb 04, 2010 8:18 am
Location: League City, Tx
Contact:

Hurricane Maria has strengthen back to a 160MPH CAT 5 this morning after blasting Dominica last night. Information via Twitter indicates massive destruction across the island. This will be a search and rescue day for Dominica.

Puerto Rico and Virgin Islands are the next target of Maria.
Attachments
Screen Shot 2017-09-19 at 5.20.14 AM.png
Screen Shot 2017-09-19 at 5.19.55 AM.png
User avatar
Katdaddy
Global Moderator
Global Moderator
Posts: 2521
Joined: Thu Feb 04, 2010 8:18 am
Location: League City, Tx
Contact:

Incredible CAT 5 Hurricane Maria now at 175MPH continues to intensify this evening on the way to St Croix and Puerto Rico. Many Prayers for Puerto Rico and the Virgin Islands.

Hurricane Maria Tropical Cyclone Update
NWS National Hurricane Center Miami FL AL152017
700 PM AST Tue Sep 19 2017

...700 PM AST POSITION AND INTENSITY UPDATE...
...EXTREMELY DANGEROUS CATEGORY 5 HURRICANE MARIA STILL STRENGTHENING...

Reports just received from an Air Force Reserve Hurricane Hunter aircraft indicate that the maximum sustained winds have increased to 175 mph (280 km/h). The estimated minimum pressure based on data from the aircraft is 909 mb (26.84).

A wind gust to 63 mph (102 km/h) was recently reported in the eastern portion of St. Croix in the U.S. Virgin Islands.


SUMMARY OF 700 PM AST...2300 UTC...INFORMATION
---------------------------------------------------
LOCATION...16.9N 64.1W
ABOUT 70 MI...115 KM SE OF ST. CROIX
ABOUT 165 MI...270 KM SE OF SAN JUAN PUERTO RICO
MAXIMUM SUSTAINED WINDS...175 MPH...280 KM/H
PRESENT MOVEMENT...WNW OR 300 DEGREES AT 10 MPH...17 KM/H MINIMUM CENTRAL PRESSURE...909 MB...26.84 INCHES

$$

Forecaster Brown
Attachments
Screen Shot 2017-09-19 at 6.35.38 PM.png
User avatar
Ptarmigan
Statistical Specialist
Statistical Specialist
Posts: 4431
Joined: Wed Feb 03, 2010 7:20 pm
Contact:

909 millibars puts Hurricane Maria in top 10 most intense recorded hurricane in the Atlantic. :shock: :o
unome
Posts: 3062
Joined: Fri Feb 12, 2010 6:11 pm

Post Reply
  • Information
  • Who is online

    Users browsing this forum: No registered users and 5 guests